Development of East Zone Model Road, Nikol

Development of East Zone Model Road, Nikol

Ahmedabad

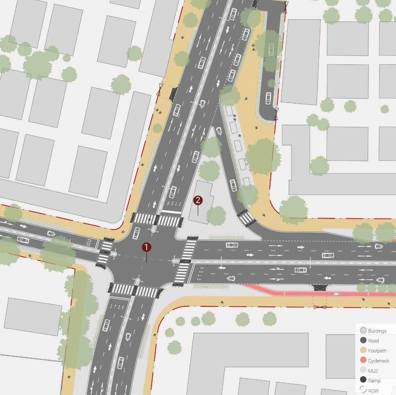
Ahmedabad Municipal Corporation (AMC) is developing the 2.2 km stretch between Shukan cross road to Bhakti Circle to SP ring road as 30m wide Model Road in the East Zone of Ahmedabad. The project includes designing the arterial street along with streetscape, landscaping, intersection design, and infrastructure upgrade. The street has upcoming commercial development along with a mix of institutional and residential development. The development ensures that the people have wide, unobstructed and shaded footpath along the street.

The Urban Lab is appointed by AMC as the design consultant for planning and design of the street. The scope of the work includes street design, bid preparation and evaluation, design supervision, and coordination with different stakeholders.

Services

Topographical survey
Traffic Survey
Traffic data analysis and demand assessment
Layout and design of roads
Cross-sections, pathways, multi-utility zone
Pedestrian facilities and bus stations
Utilities, stormwater design
Junction design and traffic calming measures
Street design including on-street parking
BOQ, Estimates
Technical Specification
Tender document
Bid evaluation
Preparing good for construction/ execution drawings

Client

Ahmedabad Municipal Corporation (AMC)

Project Size

2.2 km ,30m Right of way

Period

May 2019 – January 2024

Sub Consultants

Road and Trunk Utilities Consultant- Multimedia Consultants Pvt. Ltd
MEP Consultant- JIT Engineering Services Pvt Ltd.

Project Image
Project Image
Project Image
Project Image